Kontaktcenter
Skicka e-post till kommunen (e-postmeddelanden blir en allmän handling)
Ring kontaktcenter på telefon: 0371-810 00
Felanmälan och synpunkter
Ställ en fråga
Lämna en synpunkt eller gör en felanmälan
.webp)
Nya vattenledningar på Lundavägen i Gislaved
Senast uppdaterad 23 februari 2026
Steg i processen:
- Förstudie
- Investeringsbudget
- Projektering och planering
- Byggnation
- Färdig byggnad
Vi planerar för att byta ut befintliga vatten- och avloppsledningar på Lundavägen i Gislaved. Ledningarna har har nått sin tekniska livslängd. Arbetet beräknas att vara klart i oktober 2026.
Projektet i korthet
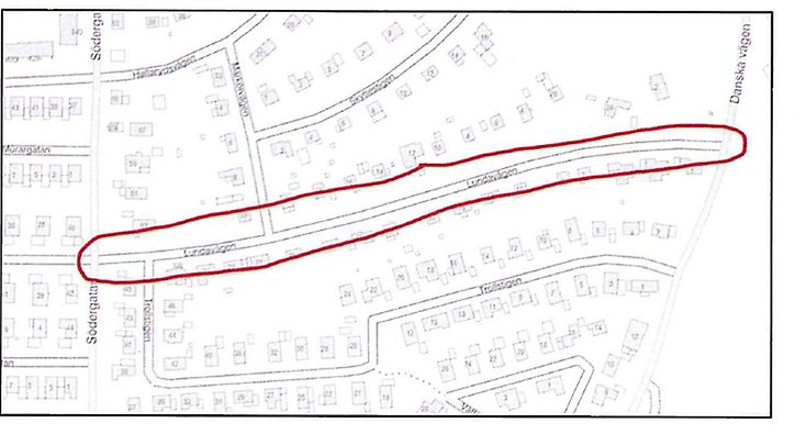
Arbetet utförs för att säkerställa en driftsäker och modern anläggning inför framtiden. Kommunen arbetar enligt en förnyelseplan för vatten- och avlopp. Nu byts befintliga vatten- och avloppsledningar på Lundavägen i Gislaved eftersom de nått sin tekniska livslängd. Anläggninsarbetet kommr att göras på en sträcka mellan Danska vägen och Södergatan, se kartbild nedan.
Klart under 2026
Arbetet påbörjas senare i vår och och om allt går som planerat kommer va-arbetet vara klart i oktober 2026.
Karta över området

Lundavägen, Gislaved.